
A follow-up to the story we reported here Monday about a proposed Taqueria Tsunami in East Cobb going up in the old Caribou Coffee/Einstein Bagel space on Johnson Ferry Road: It’s gotten a recommendation of conditional approval by the East Cobb Civic Association.
During its monthly business meeting Wednesday, the group voted to recommend approval of a site plan amendment being proposed on behalf of Fork U Concepts, the Marietta company that runs the six-restaurant Latin-Asian fusion concept chain, but with some stipulations.
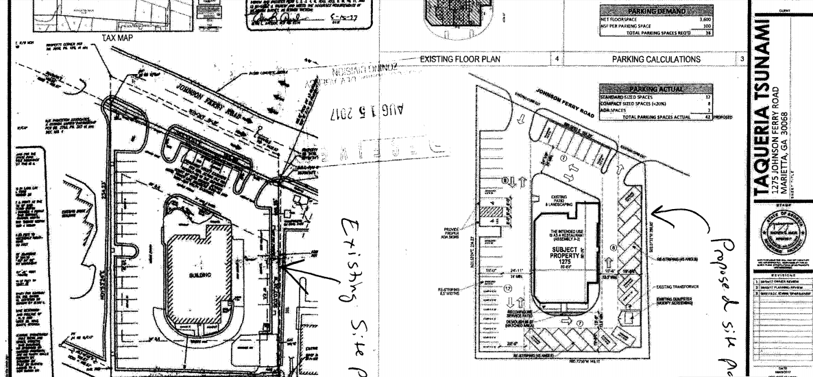
Those recommendations include the district commissioner (Bob Ott) signing off on building renderings for the new restaurant, a landscaping plan for the property and front signage, none of which have been submitted to the Cobb Zoning Department.
The 0.70-acre tract at 1275 Johnson Ferry Road has been vacant since Einstein Bagels left in 2015. The land was first zoned for commercial use in 1978 as a Krystal fast-food restaurant (Caribou replaced it in 1995 and closed in 2013).
Amor Design Group, an architectural design firm submitting the application, wants to revise the site plan to remove the drivethru window used at the former Caribou location, in order to increase parking. The proposal calls for a parking expansion to 42 spaces that would include restriping.
The ECCA, which represents more than 90 homeowners associations and other individuals, is a citizens group that provides advisory opinions to the Cobb Planning Commission and Cobb Board of Commissioners on zoning and land use cases. While it wields no official power, its influence is frequently considered (Ott is a former ECCA president), especially when community opposition arises.
One other thing to note about the Taqueria Tsunami case: It’s considered “other business” in Cobb zoning parlance since it’s a site plan amendment proposal, instead of a pure rezoning matter.
Therefore, this case doesn’t need to go before the Cobb Planning Commission and instead will be heard by the Cobb Board of Commissioners on Sept. 19.
A zoning case that was on next Thursday’s Cobb Planning Commission agenda but that has been continued until October is the proposed redevelopment of the former Mountain View Elementary School (Z-053-2017). The nearly 14-acre tract would be converted into a mixed-use complex of restaurants, grocery, retail, banking and other commercial uses.
According to Jill Flamm of the ECCA, the applicant, Brooks Chadwick Capital LLC, is asking for more time to work with the community.
She also briefed ECCA members on other zoning and land use cases that have no new information to report. They include another high-profile September case, proposed by Lidl Grocery (OB-016-2017) to redevelop the Park 12 Cinema on Gordy Parkway, and a proposal by S & B Investments to add a drivethru window at the Starbucks Coffee location near Paper Mill Village, at 31 Johnson Ferry Road (OB-028-2017).
The ECCA has recommended denial of the Lidl Grocery application and supports the Starbucks addition.
Also on Wednesday, the ECCA voted to hold an application by Blair Waldron to amend a site plan for 1.28 acres on the north side of Roswell Road, just west of East Piedmont Road, to allow for a 16,000-square-foot medical and dental office building.
The land is located between a Bank of America branch and the East Cobb United Methodist Church. The proposed building would house Waldron Dentistry, which is currently located at 3020 Roswell Road, near Old Canton Road.
Flamm said no renderings have been submitted, and there are 34 pages of stipulations to consider. Much of that stems from a litigation settlement in 1999. Here’s the file information on OB-041-2017 from the Cobb Zoning Department, which hasn’t done a staff analysis for the application since it came in after the Aug. 4 commenting deadline.
Like this:
Like Loading...