An early check into a really busy September Cobb zoning calendar (especially in East Cobb) revealed this agenda item: the growing, Marietta-based Taqueria Tsunami Latin-Asian fusion restaurant concept may be headed this way.
An application in the “Other Business” section, OB-039-2017, has been filed by Amor Design Studios on behalf of Fork U Concepts, which runs six Taqueria Tsunami locations, including the Marietta Square, Roswell, Woodstock, Athens and soon in Sandy Springs.
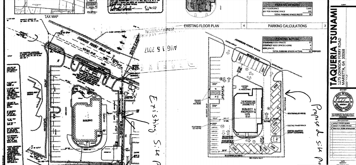
The East Cobb location would be at 1275 Johnson Ferry Road, where Caribou Coffee and an Einstein Bros. Bagels operated side-by-side.
Caribou Coffee closed in 2013, and Einstein Bros. Bagels followed in 2015.
The Cobb Planning Commission will hear the application next Thursday, Sept. 7.
Amor Design Studios, an Atlanta architectural design firm, has filed a site plan amendment which states the following intent:
“Fork U Concepts would like to improve the property by deleting the drive-thru [of the former Caribou store] and increasing the number of parking spaces by restriping the parking lot.”
The proposed site plan changes (below, click to see larger image) call for 42 total spaces, 32 of them standard-sized spaces. The total land size for the building and parking is 0.70 acres.
There’s no preliminary staff zoning analysis for the moment since the application was filed on Aug. 15, after the Aug. 4. deadline for comments.
Some major East Cobb redevelopment proposals are also on the September calendar, and we’ll have more in forthcoming posts:
- Z-053-2017, by Brooks Chadwick Capital, LLC, which would rezone the former Mountain View Elementary School location on Sandy Plains Road for a retail, restaurant, bank and grocery store development;
- OB-016-2017, by Lidl US Operations, LLC, to tear down the Park 12 Cinema on Gordy Parkway and build a Lidl grocery store, a proposal that’s been delayed several times (see previous East Cobb News story) and has community opposition;
- Z-012-2017, by SSP Blue Ridge, LLC, to rezone 21 acres northwest intersection of Terrell Mill Road and Powers Ferry Road for a mixed commercial and residential development anchored by a Kroger grocery story. This application also has been continued.
